General Alert
Trình duyệt của bạn không hỗ trợ tìm kiếm bằng giọng nói! Vui lòng đổi trình duyệt khác

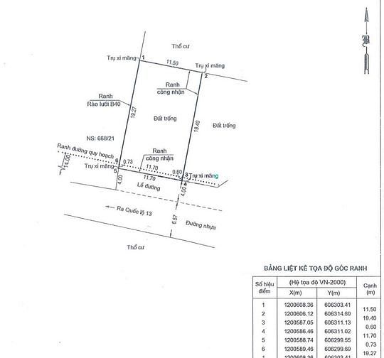
Đất Góc 2MT DT450m2, Đường 10m, 668 HBP, Thủ Đức, Gần Vạn Phúc City

Quốc Lộ 13, Phường Hiệp Bình Phước, Thành phố Thủ Đức, Thành phố Hồ Chí Minh
Xem trên bản đồ quy hoạch

TỔNG GIÁ TRỊ:

27 Tỷ
(60000000.0/ m2)
Diện tích
450.0 M2
Hướng
Đang cập nhật
Phòng ngủ
Đang cập nhật
Phòng tắm
Đang cập nhật

Tổng quan

Ảnh giới thiệu Đất Góc 2MT DT450m2, Đường 10m, 668 HBP, Thủ Đức, Gần Vạn Phúc City
------------- TIN CHUẨN ------------- ⛳ Cần bán lô Góc 2 Mặt Tiền - 668 Hiệp Bình Phước - Thủ Đức ( Gần Vạn Phúc City ) ⚡ DT đất : 23 x 20m ( 450m2 ) FULL THỔ CƯ ⚡ Đường 10m thông thoáng ( thích hợp xây Biệt Thự, Công Ty , Văn Phòng , Kho Xưởng ) ️🎯 Có 2 sổ riêng , có bán lẽ từng lô 🏦 Hổ trợ Ngân Hàng 60 - 70% giá trị đất 💵💵💵 Giá 28 Tỷ ( CHỦ GIẢM 1 tỷ CHỐT 27 tỷ ) 📞📞📞 Gọi em ngay 24/24 : O778 - 698 - 776 ( xem đất + sổ thực tế )

Chi tiết bất động sản

Phòng ngủ -
Chiều dài -
Diện tích đất 450.0 M2
Hướng -
Hiện trạng nhà -
Phòng tắm -
Chiều rộng -
Diện tích sử dụng 450.0 M2
Độ rộng mặt tiền đường -
Giấy tờ Sổ hồng

Tiện ích xung quanh

Vị trí bất động sản

Lưu tin ngay Báo xấu

Đăng ký nhận thông tin qua Email

Thông tin luôn được cập nhật mới nhất gửi vào Email của bạn
Hệ thống đang trong giai đoạn chạy thử nghiệm