General Alert
Trình duyệt của bạn không hỗ trợ tìm kiếm bằng giọng nói! Vui lòng đổi trình duyệt khác

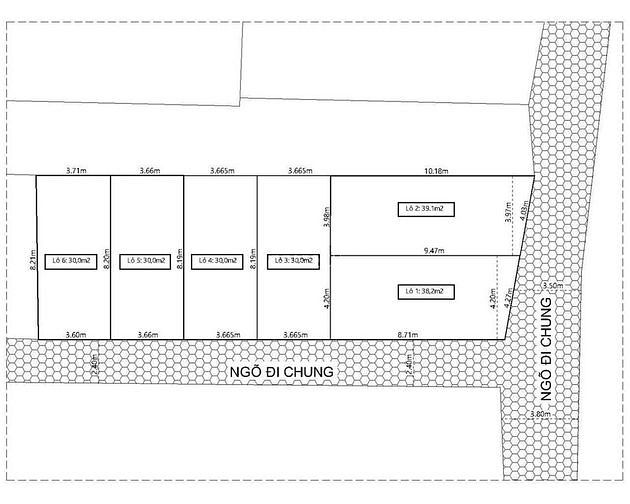
Bán Mảnh Đất chia lô. Đường Văn Tiến Dũng: 201m2. Giá: 14.9 tỷ.

Phú Diễn, Phường Phú Diễn, Quận Bắc Từ Liêm, Thành phố Hà Nội
Xem trên bản đồ quy hoạch

TỔNG GIÁ TRỊ:

14.9 Tỷ
(74129353.2/ m2)
Diện tích
201.0 M2
Hướng
Đang cập nhật
Phòng ngủ
Đang cập nhật
Phòng tắm
Đang cập nhật

Tổng quan

Ảnh giới thiệu Bán Mảnh Đất chia lô. Đường Văn Tiến Dũng: 201m2. Giá: 14.9 tỷ.
Ô TÔ KINH DOANH - NGÕ THÔNG - KHU VỰC PHÁT TRIỂN - TRUNG TÂM VĂN HÓA QUẬN Mô tả: + Vị trí lô đất nằm gần trung tâm Quận Bắc Từ Liêm, gần ngay trường mầm non Ngoạ Long đường trước nhà ô tô qua, Ngõ thông. + Lô đất rất đẹp, phù hợp xây CCMN hoặc chia lô bán. + Bìa đỏ đẹp pháp lý chuẩn sẵn sàng giao dịch. Giá bán: 14.9 tỷ (có thương lượng). LH: em Trang 0388986184 để được xem đất.

Chi tiết bất động sản

Phòng ngủ -
Chiều dài -
Diện tích đất 201.0 M2
Hướng -
Hiện trạng nhà -
Phòng tắm -
Chiều rộng -
Diện tích sử dụng 201.0 M2
Độ rộng mặt tiền đường -
Giấy tờ Sổ đỏ

Tiện ích xung quanh

Vị trí bất động sản

Lưu tin ngay Báo xấu

Đăng ký nhận thông tin qua Email

Thông tin luôn được cập nhật mới nhất gửi vào Email của bạn
Hệ thống đang trong giai đoạn chạy thử nghiệm