General Alert
Trình duyệt của bạn không hỗ trợ tìm kiếm bằng giọng nói! Vui lòng đổi trình duyệt khác

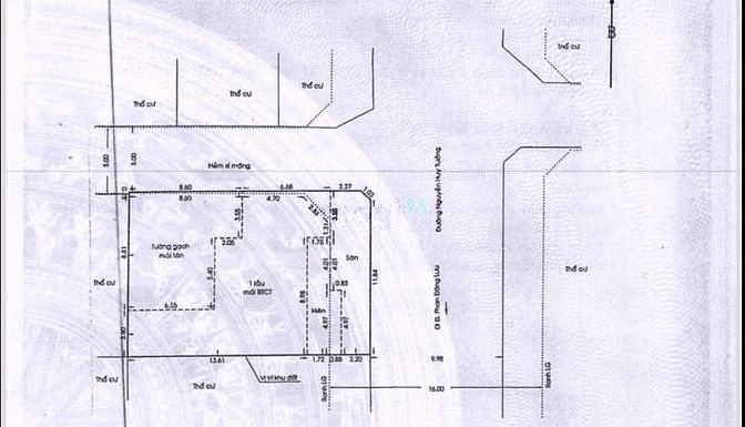
Bán đất xây building góc 2 mặt tiền Nguyễn Huy Tưởng 13x20m

Nguyễn Huy Tưởng, Phường 6, Quận Bình Thạnh, Thành phố Hồ Chí Minh
Xem trên bản đồ quy hoạch

TỔNG GIÁ TRỊ:

62.9 Tỷ
(273478260.9/ m2)
Diện tích
230.0 M2
Hướng
Đang cập nhật
Phòng ngủ
Đang cập nhật
Phòng tắm
Đang cập nhật

Tổng quan

Ảnh giới thiệu Bán đất xây building góc 2 mặt tiền Nguyễn Huy Tưởng 13x20m
Bán đất xây building góc 2 mặt tiền Nguyễn Huy Tưởng 13x20m/230m2 ( giáp Phan Đăng Lưu, khu vực building công sở ) - Địa chỉ: Nguyễn Huy tưởng, Phường 06, quận Bình Thạnh - Diện tích: 13x20m DTCN : 230m2 - Kết cấu: GPXD hầm 7 tấm - Sổ hồng chính chủ, pháp lí sạch sẽ. - Giá: 62 tỷ 9 còn thương lượng cho khách thiện chí. - Liên hệ ngay để xem đất thực tế. SĐT : 0938969794 Tiến Anh

Chi tiết bất động sản

Phòng ngủ -
Chiều dài -
Diện tích đất 230.0 M2
Hướng -
Hiện trạng nhà -
Phòng tắm -
Chiều rộng -
Diện tích sử dụng 230.0 M2
Độ rộng mặt tiền đường -
Giấy tờ Sổ hồng

Tiện ích xung quanh

Vị trí bất động sản

Lưu tin ngay Báo xấu

Đăng ký nhận thông tin qua Email

Thông tin luôn được cập nhật mới nhất gửi vào Email của bạn
Hệ thống đang trong giai đoạn chạy thử nghiệm