General Alert
Trình duyệt của bạn không hỗ trợ tìm kiếm bằng giọng nói! Vui lòng đổi trình duyệt khác

Bán đất thổ cư sổ đỏ 124 Phúc Diễn, Bắc Từ Liêm,HN

Cầu Diễn, Phường Phúc Diễn, Quận Bắc Từ Liêm, Thành phố Hà Nội
Xem trên bản đồ quy hoạch

TỔNG GIÁ TRỊ:

25.7 Tỷ
(100000000.0/ m2)
Diện tích
257.0 M2
Hướng
Đang cập nhật
Phòng ngủ
Đang cập nhật
Phòng tắm
Đang cập nhật

Tổng quan

Ảnh giới thiệu Bán đất thổ cư sổ đỏ 124 Phúc Diễn, Bắc Từ Liêm,HN
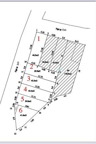
+ Bán 6 mảnh đất thổ cư phân lô đã tách sổ đỏ riêng chính chủ đứng tên tôi + Từ mặt đường Phúc Diễn vào chỉ 40m,xe ô tô tải vào ra quay đầu + Có thể kinh doanh tốt hoặc xây lên cho thuê thì tuyệt vời - Lô số 1 hướng đông bắc,tây bắc,lô góc 2 mặt ngõ rộng 6m và 4m, mặt tiền 4,1m x 11,56m = 46,2m2 giá 120tr/m2 - Lô số 2 hướng tây bắc,ngõ rộng 4m, mặt tiền 3,8m x 11,70m = 43,3m2 giá 100tr/m2 (đất thực tế vuông vắn) - Lô số 3 hướng tây bắc,ngõ rộng 4m, mặt tiền 3,8m x 11,80m = 43,5m2 giá 100/m2 - Lô số 4 hướng tây bắc,ngõ rộng 4m, mặt tiền 3,8m x 11,80m = 43,4m2 giá 95tr/m2 (đất thực tế 45m2 vuông vắn) - Lô số 5 hướng tây bắc,ngõ rộng 4m, mặt tiền 4m x 9,75m = 39m2 giá 95tr/m2 ( đất thực tế 42m2 vuông vắn) - Lô số 6 hướng tây bắc,ngõ rộng 4m, mặt tiền 3,5m x 11m = 39m2 giá 75tr/m2 (đất thực tế 45m2) Liên hệ chính chủ 0346087030 call - sms - imess - zalo miễn quảng cáo làm phiền

Chi tiết bất động sản

Phòng ngủ -
Chiều dài -
Diện tích đất 257.0 M2
Hướng -
Hiện trạng nhà -
Phòng tắm -
Chiều rộng -
Diện tích sử dụng 257.0 M2
Độ rộng mặt tiền đường -
Giấy tờ Sổ đỏ

Tiện ích xung quanh

Vị trí bất động sản

Lưu tin ngay Báo xấu

Đăng ký nhận thông tin qua Email

Thông tin luôn được cập nhật mới nhất gửi vào Email của bạn
Hệ thống đang trong giai đoạn chạy thử nghiệm