General Alert
Trình duyệt của bạn không hỗ trợ tìm kiếm bằng giọng nói! Vui lòng đổi trình duyệt khác

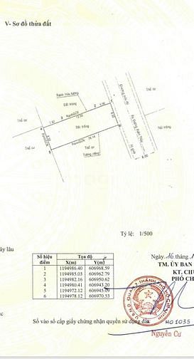
Bán đất hẻm 21 Xuân Thuỷ DT 8,5x26m giá 170tr/m2

Xuân Thủy, Phường Thảo Điền, Quận 12, Thành phố Hồ Chí Minh
Xem trên bản đồ quy hoạch

TỔNG GIÁ TRỊ:

44.88 Tỷ
(170000000.0/ m2)
Diện tích
264.0 M2
Hướng
Đang cập nhật
Phòng ngủ
Đang cập nhật
Phòng tắm
Đang cập nhật

Tổng quan

Ảnh giới thiệu Bán đất hẻm 21 Xuân Thuỷ DT 8,5x26m giá 170tr/m2
Bán gấp đất hẻm 21 Xuân Thuỷ, P.Thảo Điền, TP Thủ Đức (Q2 cũ) - Diện tích: 264m2 - Vị trí: Xuân Thuỷ là 1 trong những con đường sầm uất bậc nhất quận 2, trong hẻm yên tĩnh, ra ngoài nhộn nhịp, hẻm rộng 10m, yên tĩnh, thích hợp để sống, xung quanh đầy đủ tiện ích, dịch vụ: hệ thống trường quốc tế, bệnh viện, nhà hàng, quán ăn, cafe, công viên, siêu thị, shopping mall... - Cam kết thông tin chính xác 100% GIÁ BÁN: 45 tỷ Liên hệ xem đất: 0976.226.977 Huy Tuấn

Chi tiết bất động sản

Phòng ngủ -
Chiều dài -
Diện tích đất 264.0 M2
Hướng -
Hiện trạng nhà -
Phòng tắm -
Chiều rộng -
Diện tích sử dụng 264.0 M2
Độ rộng mặt tiền đường -
Giấy tờ Sổ hồng

Tiện ích xung quanh

Vị trí bất động sản

Lưu tin ngay Báo xấu

Đăng ký nhận thông tin qua Email

Thông tin luôn được cập nhật mới nhất gửi vào Email của bạn
Hệ thống đang trong giai đoạn chạy thử nghiệm